Minnella Nera: informazioni generali

informazioni generali gestite da Regione Siciliana - Assessorato delle Risorse Agricole e Alimentari - Dip. Interventi Infrastrutturali per l'Agricoltura - Centro per l'Innovazione della Filiera Vitivinicola UOS Marsala Dipartimento di Scienze Agrarie ed Ambientali - Università degli Studi di Milano Dipartimento di Scienze Agrarie e Forestali - Università degli Studi di Palermo
  • Ansaldi Giacomo
  • Barbagallo Maria Gabriella
  • Brancadoro Lucio
  • De Lorenzis Gabriella
  • Di Lorenzo Rosario
  • Falco Vito
  • Fici Giuseppe
  • Gagliano Franco
  • Marino Gregorio
  • Monteleone Giuseppe
  • Pisciotta Antonino
  • Scienza Attilio
come citare questa fonte Ansaldi G., Barbagallo M. G., Brancadoro L., De Lorenzis G., Di Lorenzo R., Falco V., Fici G., Gagliano F., Marino G., Monteleone G., Pisciotta A., Scienza A., 2015. Minnella Nera. in: Italian Vitis Datababase, www.vitisdb.it. ISSN 2282-006X
ringraziamenti Regione Sicilia, Ager Foundation
informazioni botaniche
nome
Minnella Nera
tipo di origine
spontanea
specie
Vitis vinifera
gruppo di varietà
Neutre
genere
Vitis
sottospecie
sativa
vitigno da
vino
trueness to type
codice
IVD-var_376
registrazione
iscritto al Registro Nazionale delle Varietà di Viti
no
sinonimi
nessun sinonimo disponibile per Minnella Nera
cloni omologati
immagini
  • germoglio
    germoglio
  • foglia
    foglia
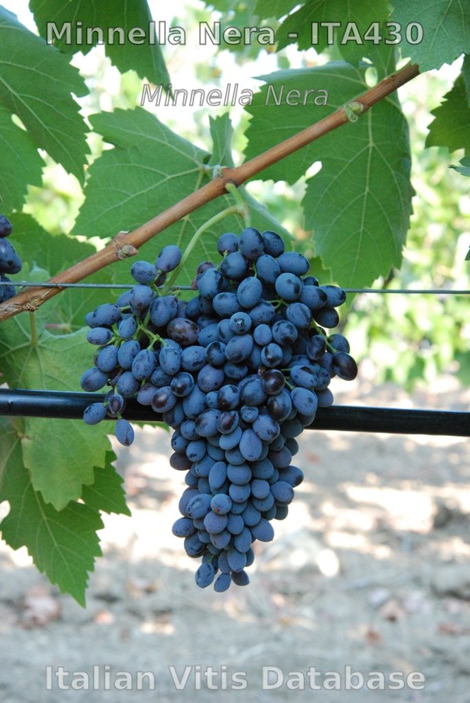
  • grappolo
    grappolo
  • acino
    acino
  • vinacciolo
    vinacciolo
Riferimenti storici

Descritta per la prima volta dal Sestini (1812) tra le varietà dell’Etna, prende il nome da minna, mammella per la forma allungatadelle sue bacche.

A proposito della Eppula, «Ve n’ha di due colori, bianca e nera, le bacche della prima sono acuminate, di figura somigliante alla Minnedda sebbene più breve e di maggior grossezza. La nera è assai più rara della bianca, ed ha le medesime caratteristiche, somiglia del pari alla zinna di vacca nera (sic. minnedda niura), è di poca durata, potasi stretta, ha nodi a media distanza, dà il vino leggiero e vegeta in Randazzo e Bronte. In Piedimonte viene dinominata Minnedda» (Geremia, 1834; 1939).

 Anche questa come la Minnella bianca, era considerata "uva da panaro". Si appendeva nel solaio a gruppi di due grappoli sui fili delle "seggi" "'i zammara" cioè fatte con la fibra di agave. Appesa così arrivava fino a Natale. Se era tanta si vinificava assieme alle altre uve. Veniva anche utilizzata per fare uve passe. Queste si ottenevano selezionando gli acini sani e un po’ appassiti che venivano stesi su un panno bianco di cotone e si mettevano ad asciugare al sole. Quando era asciutta si metteva nelle "casce" e qui l'uva faceva "'a ràcia" che era uno straterello di zucchero cristallizzato e croccante sulla superficie dell'acino.

diffusione & variabilità

 

L'areale di coltivazione, come per la Minnella bianca, sono le pendici dell’etna, la sua presenza è sporadica all’interno di vigneti destinati alla coltivazione di altri vitigni

utilizzazione tecnologica

I vini presentano una gradazione alcolica elevata, accompagnata da una sufficiente acidità totale e un pH nella norma.Il quadro polifenolico mostra valori inferiori alla media per gli antociani mentre per i  polifenoli totali i risultati sono nella media. Il vino ha un’intensità colorante medio bassa. All’olfatto è caratterizzato da intense note fruttate di ciliegia e da percezioni più moderate di vegetale e speziato. Al gusto manifesta una buona acidità e astringenza bilanciate da una buona sensazione alcolica; la struttura è medio bassa, come la persistenza aromatica, con un finale lievemente amaro.

 

bibliografia (3)
autori anno titolo rivista citazione
Geremia, Ab. G. 1834 Delle viti intorno all'Etna Atti dell'Accademia Gioenia t. X
Geremia G. 1839 Continuazione del Vertunno Etneo ovvero Stafulegrafia, storia delle varieta` delle uve che trovasi nel d’intorno dell’Etna. Atti dell’Accademia di Gioenia di Scienze Naturali di Catania 13 (Catania: Agatino La Malfa):63
Sestini D. 1991 Memorie sui vini siciliani, 1812. Palermo. Sellerio Editore.
aggiornamento 15/11/2018 12:59:46 (7 anni fa)