Italian Vitis Database
Login
VitisDB
cos'è
VitisDB
partecipanti
Contatti
Finanziamenti
Links
varietà
elenco delle varietà
cerca
cerca per profilo microsatellite
carca per profilo microsatellite standardizzato
cerca per descrittori ampelografici
cerca per descrittori ampelometrici
descrittori
bibliografia
Lingua
no
Inglese
si
Italiano
Nerello Mascalese - 47-1: informazioni generali
Home
/
accessioni
/
Nerello Mascalese
informazioni generali
ampelografia
ampelometria
fenologia & produzione
vegeto-produttivi
polifenoli uve
aromi uve
altri descr.
trueness to type
stato: pubblico - release: 15/11/2018
Esport in PDF
Versione ridotta
Versione completa
Visualizza tutto
informazioni gestite da
Regione Siciliana - Assessorato delle Risorse Agricole e Alimentari - Dip. Interventi Infrastrutturali per l'Agricoltura - Centro per l'Innovazione della Filiera Vitivinicola UOS Marsala
Dipartimento di Scienze Agrarie ed Ambientali - Università degli Studi di Milano
Dipartimento di Scienze Agrarie e Forestali - Università degli Studi di Palermo
come citare questa fonte
Ansaldi G., Barbagallo M. G., Brancadoro L., De Lorenzis G., Di Lorenzo R., Falco V., Fici G., Gagliano F., Marino G., Monteleone G., Pisciotta A., Scienza A., 2015. Nerello Mascalese. in: Italian Vitis Datababase, www.vitisdb.it. ISSN 2282-006X
ringraziamenti
Regione Sicilia, Ager Foundation
informazioni generali
nome
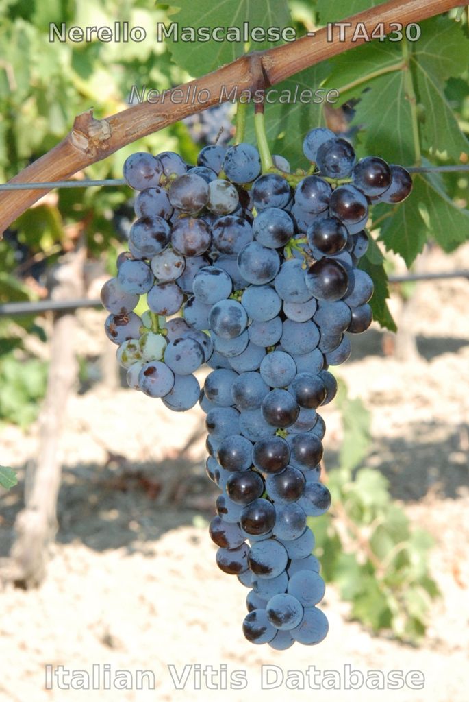
Nerello Mascalese
codice
ITA430-47-1
nazione di selezione
Italia
regione di selezione
Sicilia
provincia di selezione
Catania
località di selezione
n.d.
istituzione custode
Regione Siciliana - Assessorato delle Risorse Agricole e Alimentari - Dip. Interventi Infrastrutturali per l'Agricoltura - Centro per l'Innovazione della Filiera Vitivinicola UOS Marsala
collezione
Biesina - Marsala
varietà & clone
tipo di origine
spontanea
Genere
Vitis
specie
Vitis vinifera
sottospecie
sativa
varietà
Nerello Mascalese
clone
n.d.
trueness to type
accertato con rilievi morfologici e microsatelliti
profilo microsatellite standardizzato
loci:
loci predefiniti ( 9 )
locus SSR:
VVS2
VVMD5
VVMD7
VVMD27
VrZAG62
VrZAG79
VVMD25
VVMD28
VVMD32
allele:
A1
A2
A1
A2
A1
A2
A1
A2
A1
A2
A1
A2
A1
A2
A1
A2
A1
A2
dimensione:
133
143
225
235
239
249
179
179
196
202
251
259
245
245
231
247
253
257
confronta con tutte le accessioni standardizzate
immagini
germoglio
foglia
grappolo
acino
vinacciolo
accessioni della medesima varietà (1)
Nerello Mascalese
- Regione Siciliana - Assessorato delle Risorse Agricole e Alimentari - Dip. Interventi Infrastrutturali per l'Agricoltura - Centro per l'Innovazione della Filiera Vitivinicola UOS Marsala
aggiornamento
15/11/2018 10:09:15 (7 anni fa)